◄ ZOEKPAGINA
alle BLAUWE tekst is aanklikbaar
klik hier voor PERMALINK in browserbalk
©
▼ KLIK voor alles over het trefwoord:
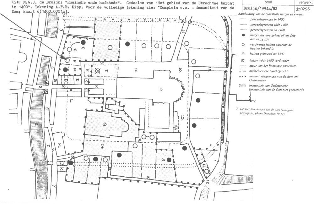
Utrecht - Domplein 16 - gesloopt 1936 - oud adres
pagina
7
van
16
Utrecht - Domplein 16 - gesloopt 1936 - oud adres
1400.0001a
'15:19 19-2-2008